17 dead, dozens missing after heavy rains flood southern India
Authorities in the southern Indian state of Andhra Pradesh say at least 17 people have died and dozens are reported missing after days of heavy rains.
Authorities in the southern Indian state of Andhra Pradesh say at least 17 people have died and dozens are reported missing after days of heavy rains.
Washington state flooding: State of emergency declared, hundreds displaced
Flooding and landslides wreaked havoc on the U.S. Northwest, closing a portion of a major highway and displacing hundreds of residents.
Flooding and landslides wreaked havoc on the U.S. Northwest, closing a portion of a major highway and displacing hundreds of residents.
Storm system brings heavy rain, winds and flood threat to Mid-Atlantic
A large storm system is moving over the U.S. Mid-Atlantic region on Friday, bringing with it heavy rain, gusty winds and the threat of coastal flooding.
A large storm system is moving over the U.S. Mid-Atlantic region on Friday, bringing with it heavy rain, gusty winds and the threat of coastal flooding.
Severe storm threat shifts to Southeast, stretching from Florida to Carolinas
Forecasters said severe thunderstorms were possible from Florida to the Carolinas on Thursday, with the risk of damaging winds and a few tornadoes.
Forecasters said severe thunderstorms were possible from Florida to the Carolinas on Thursday, with the risk of damaging winds and a few tornadoes.
Nor'easter: Storm lashes East Coast with heavy rain, winds and flooding
The first nor'easter of the season prompted the governors of New York and New Jersey to each declare a state of emergency.
The first nor'easter of the season prompted the governors of New York and New Jersey to each declare a state of emergency.
Strong storm system brings severe weather to parts of the Midwest
Southern Wisconsin could see upwards of an inch of rain area-wide and over 2 inches in spots, along with winds gusting to 55mph at times along the lakeshore.
Southern Wisconsin could see upwards of an inch of rain area-wide and over 2 inches in spots, along with winds gusting to 55mph at times along the lakeshore.
Flood risk threatens 25% of critical US infrastructure, research shows
Flooding isn’t just a threat to our roads. A new study conducted by First Street Foundation found it threatens our police stations, fire stations, hospitals and water treatment facilities.
Flooding isn’t just a threat to our roads. A new study conducted by First Street Foundation found it threatens our police stations, fire stations, hospitals and water treatment facilities.
Pamela moves inland after slamming Mexico's Pacific coast as hurricane
Pamela continued moving inland after making landfall on Mexico’s Pacific coast near the resort city of Mazatlan.
Pamela continued moving inland after making landfall on Mexico’s Pacific coast near the resort city of Mazatlan.
Video: Hail shatters Oklahoma driver’s windshield
Jake Nea was chasing storms in Roosevelt Oklahoma when his windshield was shattered by hail.
Jake Nea was chasing storms in Roosevelt Oklahoma when his windshield was shattered by hail.
Tornadoes hit Oklahoma as severe weather sweeps across Central US
Multiple reported tornadoes caused damage in Oklahoma late Sunday, as severe weather also swept through parts of Arkansas, Kansas, Missouri and Texas.
Multiple reported tornadoes caused damage in Oklahoma late Sunday, as severe weather also swept through parts of Arkansas, Kansas, Missouri and Texas.
Heavy rain in North Carolina floods mountain areas, fills massive sinkhole
Heavy rainfall in North Carolina flooded parts of the state this week, including a massive sinkhole in the city of Morganton.
Heavy rainfall in North Carolina flooded parts of the state this week, including a massive sinkhole in the city of Morganton.
Alabama flash flooding kills 4, swamps roadways, officials say
The deaths of four people were blamed on Alabama flooding, officials said. Flash flood warnings and watches were issued Thursday for much of the state.
The deaths of four people were blamed on Alabama flooding, officials said. Flash flood warnings and watches were issued Thursday for much of the state.
Ocean drone captures video from inside hurricane for 1st time
The seafaring drone is braving Hurricane Sam in the open ocean, where it can gather and collect real-time observations.
The seafaring drone is braving Hurricane Sam in the open ocean, where it can gather and collect real-time observations.
No more Greek letters: Here’s what will happen when we run out of hurricane names this time
There will soon be only one name left on the 2021 hurricane list, with two months to go. So what happens if we have more than one additional storm? After last year’s salad of Greek names, there’s a new plan this year, with new names.
There will soon be only one name left on the 2021 hurricane list, with two months to go. So what happens if we have more than one additional storm? After last year’s salad of Greek names, there’s a new plan this year, with new names.
Hurricane Sam: Category 4 storm likely to bring rough surf to East Coast
Sam, still a Category 4 hurricane, is set to avoid any direct impact to the U.S. but is expected to bring big waves to the East Coast by the weekend.
Sam, still a Category 4 hurricane, is set to avoid any direct impact to the U.S. but is expected to bring big waves to the East Coast by the weekend.
Sam downgraded to Category 3 hurricane in Atlantic
Hurricane Sam remained a powerful Category 3 storm in the Atlantic Ocean on Monday, but was centered well offshore from land.
Hurricane Sam remained a powerful Category 3 storm in the Atlantic Ocean on Monday, but was centered well offshore from land.
Hurricane Sam, a Category 4 storm, could fluctuate in strength this week
Hurricane Sam is a Category 4 storm, but forecasters say the system could fluctuate in strength over the next day or so.
Hurricane Sam is a Category 4 storm, but forecasters say the system could fluctuate in strength over the next day or so.
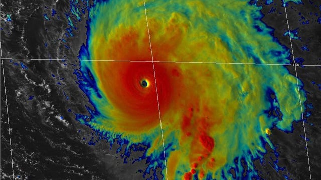
Hurricane Sam now a Category 4 storm; Teresa dwindling
Far from land, Hurricane Sam strengthened into a Category 4 hurricane in the Atlantic Ocean on Saturday.
Far from land, Hurricane Sam strengthened into a Category 4 hurricane in the Atlantic Ocean on Saturday.
Nicholas prompts flash flood watches across central Gulf Coast as storm lingers
Nicholas became a post-tropical cyclone on Thursday, hovering over the central Gulf Coast and bringing the threat of heavy rain and flooding.
Nicholas became a post-tropical cyclone on Thursday, hovering over the central Gulf Coast and bringing the threat of heavy rain and flooding.
Milwaukee family helped by community, storm devastated their home
They asked for help, and you answered. FOX6 News told you about a family forced to live without natural gas after severe weather devastated their home in August.
They asked for help, and you answered. FOX6 News told you about a family forced to live without natural gas after severe weather devastated their home in August.



















