One confirmed dead, another missing after Hurricane Sally washes away Panhandle roads, bridges
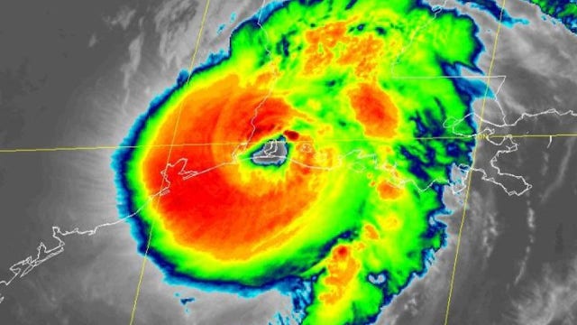
Hurricane Sally lumbered ashore near the Florida-Alabama line Wednesday as a Category 2 storm, with 105 mph winds and rain measured in feet, not inches, swamping homes and forcing the rescue of hundreds as it pushed inland at just 3 mph.
Hurricane Sally lumbered ashore near the Florida-Alabama line Wednesday as a Category 2 storm, with 105 mph winds and rain measured in feet, not inches, swamping homes and forcing the rescue of hundreds as it pushed inland at just 3 mph.
Sally unleashes flooding along Gulf Coast, hundreds rescued in Florida, Alabama
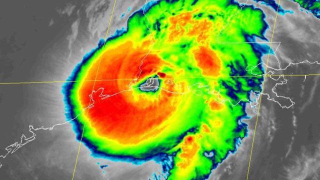
Hurricane Sally has lumbered ashore near Gulf Shores, Alabama, as a Category 2 storm, with top winds of 105 mph.
Hurricane Sally has lumbered ashore near Gulf Shores, Alabama, as a Category 2 storm, with top winds of 105 mph.
Hurricane Sally makes landfall in Alabama as Category 2 storm
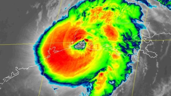
A newly strengthened Hurricane Sally pummeled the Florida Panhandle and south Alabama with sideways rain, strong winds and power outages.
A newly strengthened Hurricane Sally pummeled the Florida Panhandle and south Alabama with sideways rain, strong winds and power outages.
'Huge rainmaker': Hurricane Sally threatens Gulf Coast with historic floods
Hurricane Sally is crawling toward the northern Gulf Coast at just 2 mph, a pace that's enabling the storm to gather huge amounts of water to eventually dump on land.
Hurricane Sally is crawling toward the northern Gulf Coast at just 2 mph, a pace that's enabling the storm to gather huge amounts of water to eventually dump on land.
5 tropical cyclones brew in Atlantic at the same time, only 2nd time on record
Hurricane Paulette has made a rare landfall in Bermuda as a strong Category 1 storm just hours after the wealthy British territory shuttered schools, government agencies and air and sea ports.
Hurricane Paulette has made a rare landfall in Bermuda as a strong Category 1 storm just hours after the wealthy British territory shuttered schools, government agencies and air and sea ports.
Sally strengthens into hurricane, Gulf Coast residents brace for high storm surge, flooding
Storm-weary residents of the U.S. Gulf Coast are preparing for a new weather onslaught as Tropical Storm Sally churns toward them.
Storm-weary residents of the U.S. Gulf Coast are preparing for a new weather onslaught as Tropical Storm Sally churns toward them.
Tropical Storm Sally forms off Florida coast
Tropical Storm Sally formed Saturday off south Florida, becoming the earliest 18th-named storm on record in an Atlantic hurricane season as it headed toward the Gulf of Mexico amid signs of strengthening further.
Tropical Storm Sally formed Saturday off south Florida, becoming the earliest 18th-named storm on record in an Atlantic hurricane season as it headed toward the Gulf of Mexico amid signs of strengthening further.
Hurricane Nana lashes Belize, moves across Guatemala
Hurricane Nana made landfall in Belize early Thursday, pelting a sparsely populated stretch of the Caribbean coast with heavy rain and wind before weakening to a tropical storm.
Hurricane Nana made landfall in Belize early Thursday, pelting a sparsely populated stretch of the Caribbean coast with heavy rain and wind before weakening to a tropical storm.
Residents worry about help in aftermath of Hurricane Laura
So far 18 deaths in Texas and Louisiana have been attributed to the storm; more than half of those people were killed by carbon monoxide poisoning from the unsafe operation of generators.
So far 18 deaths in Texas and Louisiana have been attributed to the storm; more than half of those people were killed by carbon monoxide poisoning from the unsafe operation of generators.
Tropical Depression Laura still dangerous as it moves through Mid-Mississippi Valley; death toll climbs to 11
The remnants of Hurricane Laura are unleashing heavy rain hundreds of miles inland from a path of death and destruction left along the northwest Gulf Coast.
The remnants of Hurricane Laura are unleashing heavy rain hundreds of miles inland from a path of death and destruction left along the northwest Gulf Coast.
Hurricane Laura topples Louisiana Confederate monument weeks after officials voted to keep it
The Calcasieu Parish Police Jury had voted just weeks prior to leave the South’s Defenders Monument on the grounds of the courthouse.
The Calcasieu Parish Police Jury had voted just weeks prior to leave the South’s Defenders Monument on the grounds of the courthouse.
‘Houses that are totally gone’: 4 dead as Tropical Storm Laura exits Louisiana, leaving wake of destruction
One of the strongest hurricanes ever to strike the U.S. pounded the Gulf Coast with wind and rain early Thursday morning, but Laura rapidly weakened and was downgraded to a tropical storm by afternoon.
One of the strongest hurricanes ever to strike the U.S. pounded the Gulf Coast with wind and rain early Thursday morning, but Laura rapidly weakened and was downgraded to a tropical storm by afternoon.
Tropical Storm Laura left behind a beautiful 'eddy' when passing close to Key West, NWS explains
Bryan Kasch captured the awesome, vivid photos just days after Tropical Storm Laura moved near Key West.
Bryan Kasch captured the awesome, vivid photos just days after Tropical Storm Laura moved near Key West.
4 deaths caused by falling trees in Louisiana during Hurricane Laura
The governor of Louisiana says four people, including a 14-year-old girl and an 68-year-old man, were killed by falling trees as Hurricane Laura moved through the state.
The governor of Louisiana says four people, including a 14-year-old girl and an 68-year-old man, were killed by falling trees as Hurricane Laura moved through the state.
Hurricane Laura captured in stunning pictures from space
NASA astronaut Chris Cassidy has photographed Hurricane Laura from his vantage point on the International Space Station.
NASA astronaut Chris Cassidy has photographed Hurricane Laura from his vantage point on the International Space Station.
Chemical fire billows near Lake Charles in Hurricane Laura’s wake
A fire at a Louisiana chlorine plant erupted with thick, billowing smoke Thursday after Hurricane Laura plowed through part of the country’s petrochemical corridor with storm surges and fierce wind, forcing residents around the plant to shelter in their homes.
A fire at a Louisiana chlorine plant erupted with thick, billowing smoke Thursday after Hurricane Laura plowed through part of the country’s petrochemical corridor with storm surges and fierce wind, forcing residents around the plant to shelter in their homes.
Louisiana sheriff to residents: ‘Write your name... and next of kin and put it in a ziploc bag in your pocket’
The Vermilion Parish Sheriff’s Office issued a mandatory evacuation and grim warning to residents choosing to ride out Hurricane Laura rather than evacuate.
The Vermilion Parish Sheriff’s Office issued a mandatory evacuation and grim warning to residents choosing to ride out Hurricane Laura rather than evacuate.
Hurricane Laura: Wind, rain pummel coasts of Louisiana, Texas as ferocious storm makes landfall
The storm's power is raising fears of a 20-foot storm surge that forecasters say would be “unsurvivable” and capable of sinking entire communities on the Texas and Louisiana coast.
The storm's power is raising fears of a 20-foot storm surge that forecasters say would be “unsurvivable” and capable of sinking entire communities on the Texas and Louisiana coast.
All hands on deck: Linemen, Cajun Navy volunteers prepare to assist as Hurricane Laura bears down
Hundreds of volunteers, from linemen to boat crews to chainsaw crews, were assisting local governments and first responders to prepare to provide relief in the wake of the hurricane’s destruction.
Hundreds of volunteers, from linemen to boat crews to chainsaw crews, were assisting local governments and first responders to prepare to provide relief in the wake of the hurricane’s destruction.
Hurricane Laura moving inland over Louisiana after making landfall as Cat 4
Hurricane Laura made landfall and brings unsurvivable storm surge with large and destructive waves that will cause catastrophic damage from Sea Rim State Park, Texas, to Intracoastal City, Louisiana.
Hurricane Laura made landfall and brings unsurvivable storm surge with large and destructive waves that will cause catastrophic damage from Sea Rim State Park, Texas, to Intracoastal City, Louisiana.



















